Skip to main content

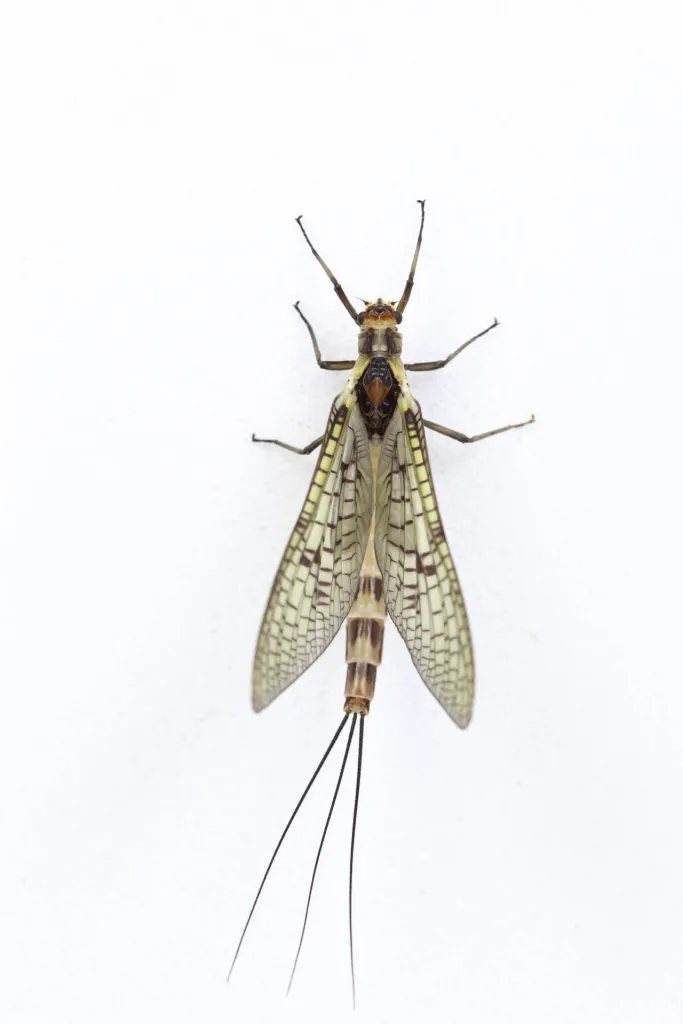
Ephemera danica

Since you got this far …


The GFF money box

… I have a small favor to ask.

Long story short

Support the Global FlyFisher through several different channels, including PayPal.

Long story longer

The Global FlyFisher has been online since the mid-90's and has been free to access for everybody since day one – and will stay free for as long as I run it.
But that doesn't mean that it's free to run.
It costs money to drive a large site like this.
See more details about what you can do to help in this blog post.